Por AP
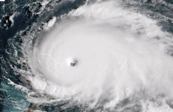
Um dos tufões mais poderosos a atingir a Coreia do Sul derrubou árvores, causou cancelamento de voos e foi responsável por ao menos três mortes neste sábado, 07, antes de partir em direção à Coreia do Norte.
O tufão Lingling derrubou a energia de mais de 161 mil casas na Coreia do Sul, de acordo com o governo do país. Autoridades afirmam que ao menos 15 pessoas estão feridas.
O Lingling teve ventos de 190 quilômetros por hora na manhã deste sábado na costa da Coreia do Sul, fazendo dele o quinto tufão mais forte a atingir o país desde 1959, de acordo com a agência sul-coreana de meteorologia.
Moradores de Pyongyan, capital da Coreia do Norte, foram vistos usando guarda-chuvas para se proteger do vento e da chuva. O tufão pode causar danos ainda mais sérios na Coreia do Norte, uma nação empobrecida que há décadas tem dificuldades para lidar com desastres naturais. O canal estatal de televisão informou que um número não especificado de lares e edifícios foram danificados.
Um dos tufões mais poderosos a atingir a Coreia do Sul derrubou árvores, causou cancelamento de voos e foi responsável por ao menos três mortes neste sábado, 07, antes de partir em direção à Coreia do Norte.
O tufão Lingling derrubou a energia de mais de 161 mil casas na Coreia do Sul, de acordo com o governo do país. Autoridades afirmam que ao menos 15 pessoas estão feridas.
O Lingling teve ventos de 190 quilômetros por hora na manhã deste sábado na costa da Coreia do Sul, fazendo dele o quinto tufão mais forte a atingir o país desde 1959, de acordo com a agência sul-coreana de meteorologia.
Moradores de Pyongyan, capital da Coreia do Norte, foram vistos usando guarda-chuvas para se proteger do vento e da chuva. O tufão pode causar danos ainda mais sérios na Coreia do Norte, uma nação empobrecida que há décadas tem dificuldades para lidar com desastres naturais. O canal estatal de televisão informou que um número não especificado de lares e edifícios foram danificados.

